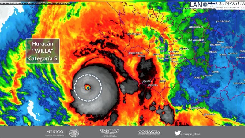
Willa se convierte en un peligroso huracán categoría 5

descarga (1)

  • El huracán Willa se intensifica rápidamente y este lunes alcanzó la categoría 5, según informó el Centro Nacional de Huracanes de EE.UU.

22/10/2018.- A las 7:00 a.m. (hora local), Willa se encontraba a 250 kilómetros al sur-suroeste de Playa Perula y a 255 kilómetros al sur-suroeste de Cabo Corrientes, Jalisco, precisó el Servicio Nacional Meteorológico de México en su reporte.

Según el reporte del Centro Nacional de Huracanes, Willa tiene vientos sostenidos de 257 kilómetros por hora y se mueve hacia el norte a 11 kilómetros por hora.

Las autoridades establecieron una zona de vigilancia que abarca desde Playa Perula hasta Bahía Tempehuaya, al norte de Mazatlán, Sinaloa.

El ciclón dejará tormentas fuertes a puntuales muy fuertes (75 a 150 milímetros) en Jalisco y Colima, así como tormentas fuertes a puntuales muy fuertes (50 a 75 milímetros) en Baja California Sur, Sinaloa, Nayarit y Durango.

Debido a las rachas de viento y el oleaje de tres a cinco metros de altura, es probable la formación de trombas marinas, frente a las costas de los mismos estados, puntualizó.

De acuerdo con su trayectoria, se prevé que en las próximas 72 horas toque tierra en Sinaloa, para degradarse y avanzar por Durango, Coahuila y Nuevo León, indicó el Meteorológico.

Por otra parte, la tormenta tropical Vicente avanza frente a las costas del pacífico sur. Su circulación favorece el potencial de lluvias y tormentas en el sur y sureste de México.

La tormenta alcanzó vientos sostenidos de 75 kilómetros por hora y rachas de 95 kilómetros por hora y se desplaza a una velocidad de 11 kilómetros por hora con dirección al norte.

CNN

COLIMAMEDIOS COLIMA MEDIOS MEDIOS COLIMA COLIMA NOTICIAS NOTICIAS COLIMA MEDIOS INFORMATIVOS DIGITALES DIARIOS COLIMA COLIMA DIARIOS NOTICIERO LINEA PERIODICO DIGITAL